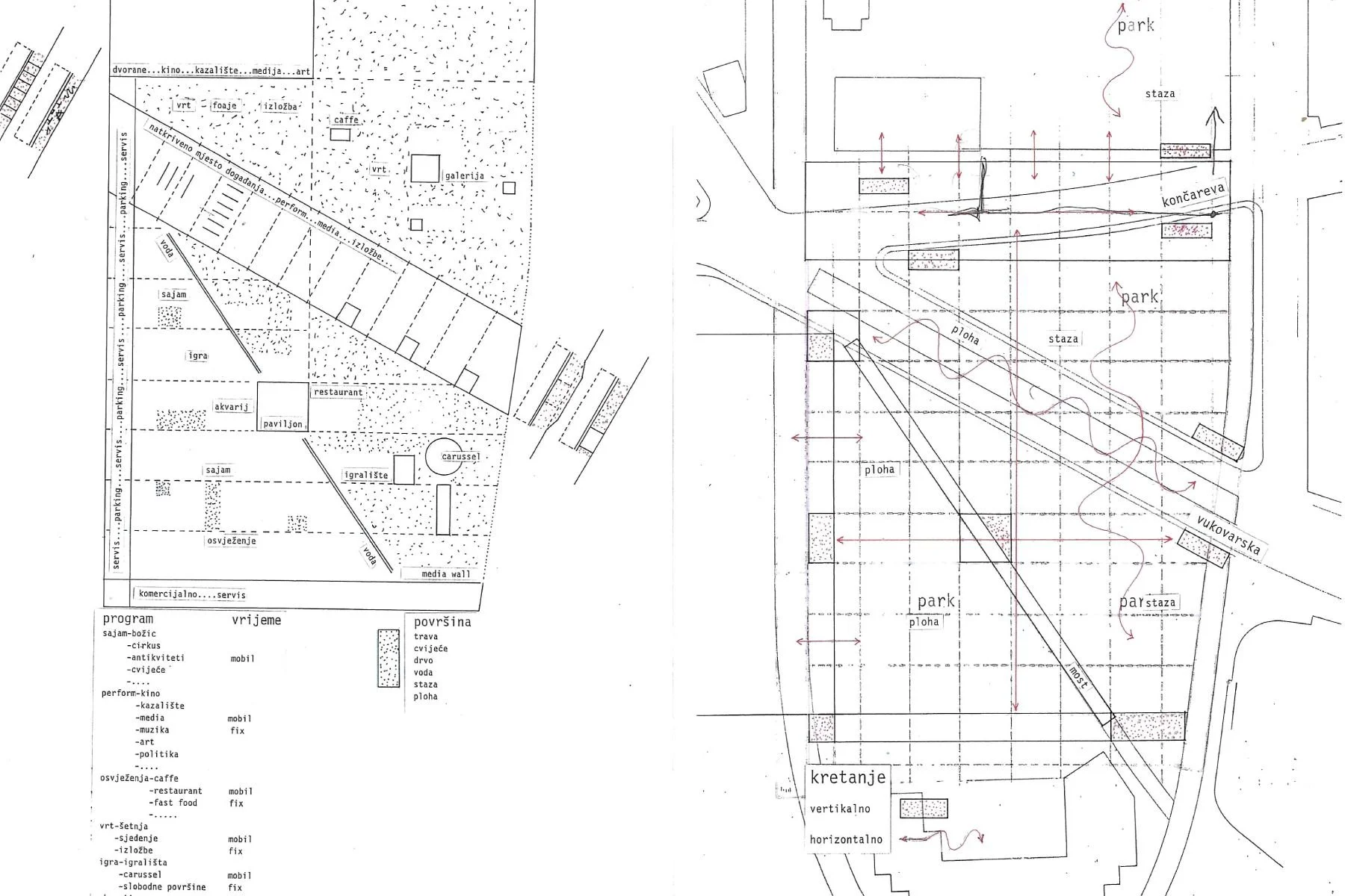
URBAN DEVELOPMENT STUDY T-PLAC
program: public, urban planning
location: Trešnjevka, Zagreb
project: 1997
site area: 17000m2
client: grad Zagreb
project team: Hrvoje Bakran, Ivana Crnošija, Tea Horvat, Zdravko Krasić, Vladimir Mattioni, Luka Thumm- Gradski zavod za planiranje razvoja grada i zaštitu okoliša Zagreb
